今回、ひさしぶりのロングデイトリップ。
南国、宮崎県は日南南郷。

行きがけのサービスエリアが寒いと、(海も超寒くて)大丈夫かなと心配になりがちですが、
大脳の錯覚です。(むかし、心配事の99%は実際にはおこらないという本が流行りましたね)
寒くありません。
足首にアンクルウエイト巻き巻きして、足腰でも鍛えておくと気も紛れます。

朝6時出発で、日南に着いたのが11時でした。

いつも思うのですが、牛深よりは近い感じがします。
高速道路のおかげでしょうね。
日南は風もなく、日差しも強く、ドライを着ると汗じっとりこん。
宮崎県のえびの高原から参加したくどうくんも加わりいざ出陣。

夫婦浦ビーチは、細い湾になっており、奥まっていますので、
うねりが入りにくい構造をしています。
流れに関しても、奥にいくか、前に出るかのストレートスタイル。(うねりの向きは岸向き一択)
大潮であっても潮流は強くなりずらいので、へにゃへにゃなフィン&足腰弱の方でも帰って来れます。

憎きウニもおらず、フィンはとても履きやすい。
宮崎最高級のポイントと言っても過言ではないでしょうか。

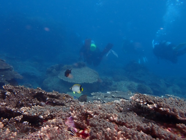
水面移動中、下をのぞくと、沖縄に負けてないサンゴの群生を見ることができます。

浅瀬には頭の輪っかが綺麗なレモンスズメダイの幼魚がいました。
この魚はインド洋にいるローランドダムワーゼルの幼魚に似ているので、
昔のことを思い出します。
エントリーは、ちょっと泳いで水深5mくらいのところから。
浅瀬はサンゴが多いため、サンゴがないところから入ると環境にやさしいですね。

1本目のみーこま、問題なく入ってこれました。

気持ちの悪い黒いびらびらと綺麗な白殻が特徴のウミウサギ貝にご満悦。
熱帯系の魚、(特にチョウチョウオ&キンチャクダイ系)ぱっと見綺麗ですが、
なぜかすぐに見なくなります(飽きるという方が正しい)。
例えば
1、ヤリカタギ。

2、シマキンチャクフグ。

3、ミスジリュウキュウスズメダイ
4、フタスジリュウキュウスズメダイ
5、ミスジチョウチョウウオ
6、トゲチョウチョウウオ

温帯の海の近くに住んでいる僕たちは、熱帯系の魚は人生において馴染みのない魚ですので、
扁桃体の好き嫌いフィルターに反応しずらい。
熱帯の魚たちは、鳥でいうとコンゴウインコ。
温帯の魚たちはひばり。
みたいな感じ。
ひばりは何度見ても飽きませんよね。声も含めて。
自分たちが普段みている魚、例えばクロダイだと、
パッと見てクロダイってわかりますし、生態についてもある程度わかっています。
オーストラリアにいるクロダイ、銀色が強めのオーストラリアキチヌという魚がいますが、
ダイビングでオーストラリアキチヌに出会った際、クロダイとの違いを観察して楽しむことができます。
つまり、自分たちが日頃から接しているものに近ければ、面白いとなるのが
脳の不思議です。
なので、なんの勉強もせず、熱帯の海でガイドに紹介された熱帯魚ばかりを見ている
と(何かのマニアでない限り)飽きてダイビングをやめてしまいます(僕の統計では平均寿命2年)。
でも、カモハラギンポみたいに普段みている魚に似ていると気になって頭に残ります。

エビも、熱帯のエビに限らず、記憶にのこります。なぜでしょうね。

これは、イソギンチャクモエビ。
よく見るとちょっと気持ち悪い系のエビ。
先ほどの話は、基本的な人間の性質の話なので、生物の好き嫌いには個人差があります。
(ヨスジフエダイを死ぬほど愛している福岡人もいますからね)
自分がどの生物に興味が湧くのか、なぜその生物が好きなのか自問自答してみるといいと思います。
他人が良いと言っていたから、自分も好きだと思っていることが多いです。
僕は子供の頃からイルカが好きだと思っていて、実際イルカと潜ったら苦手だったことがわかりました。
僕の好きな魚は普通のメジナくんとクロメジナくん。
彼らがいない海で潜っても、あまりテンションがあがりません。
逆に、メジナがいなさそうな海にメジナが出るとテンション爆上がり。
沖縄には黒潮の影響でスカエース(オキナメジナ)ばかり。
こちらのメジナくんはあまりかわいくありません。
沖縄にもクロメジナくんはいることはいますが、ダイビングでみることはむずかしい。
沖縄に足が伸びないわけです。
くどうくんは、ミノカサゴでテンション爆上がり。

岩のすきまに入れてテンションがあがっていたのは、洞窟恐怖症候群のラムでした。
2年ぶりの夫婦浦ダイビングだったので、地形を忘れていましたが、潜っていると
だんだん思い出してきました。

それにしても、このビーチはいつ潜っても透明度が高いですね。
大島を除いて、宮崎ってどこ潜っても大抵濁り気味ですから。
ウミウシは普段見ない種類を見ると、「おっ!!」っとなります。
チョウチョウウオが、「おっ!!レベル」5なら、ウミウシは80です。

ラムはクロシオイロウミウシだと言ってましたが、ウミウシラボ会長いわく
シライトウミウシで間違いないです。
タイヘイヨウイロウミウシとも似ていますし、わかりずらいですね。

SDカードもMDカードと間違えがち。
こちらもキスジカンテンウミウシだと思って見ていたら、コンペイトウウミウシでした。

2代目ウミウシラボ会長のじゅんこさんが見つけてくれました。

さすがです。
コンバットはストロボ撮影。

使いこなせたかな。
マダライロウミウシもヒョウモンウミウシと間違えやすいですね。

逆に、ゾウゲイロウミウシは似た種がいないので間違えません。

このウミウシは写真映えしますね。
そして、今回一番惑わしてきたのは、
コイボウミウシと見せかけ、ワモンイボウミウシくんでした。

くどうくんが見つけてくれました。
ちなみにこっちがコイボウミウシです。

違いが知りたい方は、自分で調べましょうね。
じゃないと、いつまでたっても生物覚えられませんよ。
というわけで、1本潜ったので、道の駅でおひるご飯。

コンバットはコンバットらしく肉の定食をご注文。

玄米はひとりウエットスーツなのに、冷や汁定食。

れっきとした宮崎名物だけど、
TPOが、服装とともに合ってないんですよね。
ブリ丼はおすすめ。プラス300円で伊勢海老の味噌汁に変更可能。

辰ノ口の小泉さんが作った伊勢海老味噌汁が100ならば、こちらの味噌汁は30くらい。
なので、ブリだけ楽しんで、味噌汁は変更せんでもいいです。
伊勢海老味噌汁は、辰ノ口の新春ダイブで飲んだらいいです。
2本目は14時30分エントリー。

潮が引いてきてました。
こまりはすーっと入ってきましたが、みーはドライスーツの排気バルブをロックしていたので、
なかなか潜行できず。

バディの玄米は助けに向かっているように見えますが、実際は助けてませんww
マイドライきたら、練習せんといけんですね。

ハリセンボンをさわったらいけんのんよ。

こまりは尖ったものならなんでもさわるくせがあるけんな困ったものだな。

イバラカンザシが多い浅瀬を通り抜けて、かめゾーンへGO。

この海だと、ソラスズメダイは越冬確定。
クマノミも同じ。
そのせいなのかわかりませんがみんな臆病系です。

クマノミが噛みついてこないので、拍子抜け。
ロクセンスズメダイとオヤビッチャが一緒に泳いでいるのをみていたら、かめ発見。

店長が見つけてリンリンリン。
じゅんこさんはうっすら見れて、ラムはさらにうっすら見れました。

かめさん、昔から居着いているけど、サイズは大きくならず。
1000gのかめでよければ、サンライズまでどうぞ。
慣れてきたので、マクロ系生物でも探していきます。
これは、スケロクウミタケハゼ。

ガラスハゼに似ているこちらのハゼは太平洋に多いですが、辰ノ口にもいます。
でも、たぶんぜったい日本海にはいないと思います。
2本目は、沖へ泳ぎ、底へと泳ぎ。水深17m。
みーの足がしっかりつりました。
そのせいなのかどうなのか、エアーの減りが人一倍早く、店長と一緒に戻りました。

エアーの減りを遅くするには、水深16mで残圧20BARで、
リップを濡れるくらい落ち着けばいいのです。

水中で拾ったリップを塗ったせいで、いまだに唇の調子が悪いです。
えびちゃんも途中でエアーがなくなり、水面移動。

たまには水面移動の練習もしておかないとね。
イカナゴかカタクチイワシかよくわかりませんが、そのへんの魚たちに囲まれますから。
最後までしっかり楽しめる日南夫婦浦は何気にすごいので、これからも継続して
通いたいと思います。
あがってきたら、パッと片付けて温泉へGO。

もたもたしていたら、終電に間に合わないぞ。
はだし?

ひなたの宿の温泉は広くて綺麗でよかったです。
このホテルは、昔かんぽの宿でしたが、個人が買い取って改修して、
営業を再開していると、ラムがお風呂場で小耳にはさんだそうです。
レスキューダイバーの玄米には、PADIからレスキューダイバー
シールが贈られていましたので、レスキューをがんばりましょう。

レスキューがうまくなるために、来年から玄米とえびちゃんは
ダイブマスターコースに入るそうです。
おたのしみに。
6/DEC/2025
RIO


